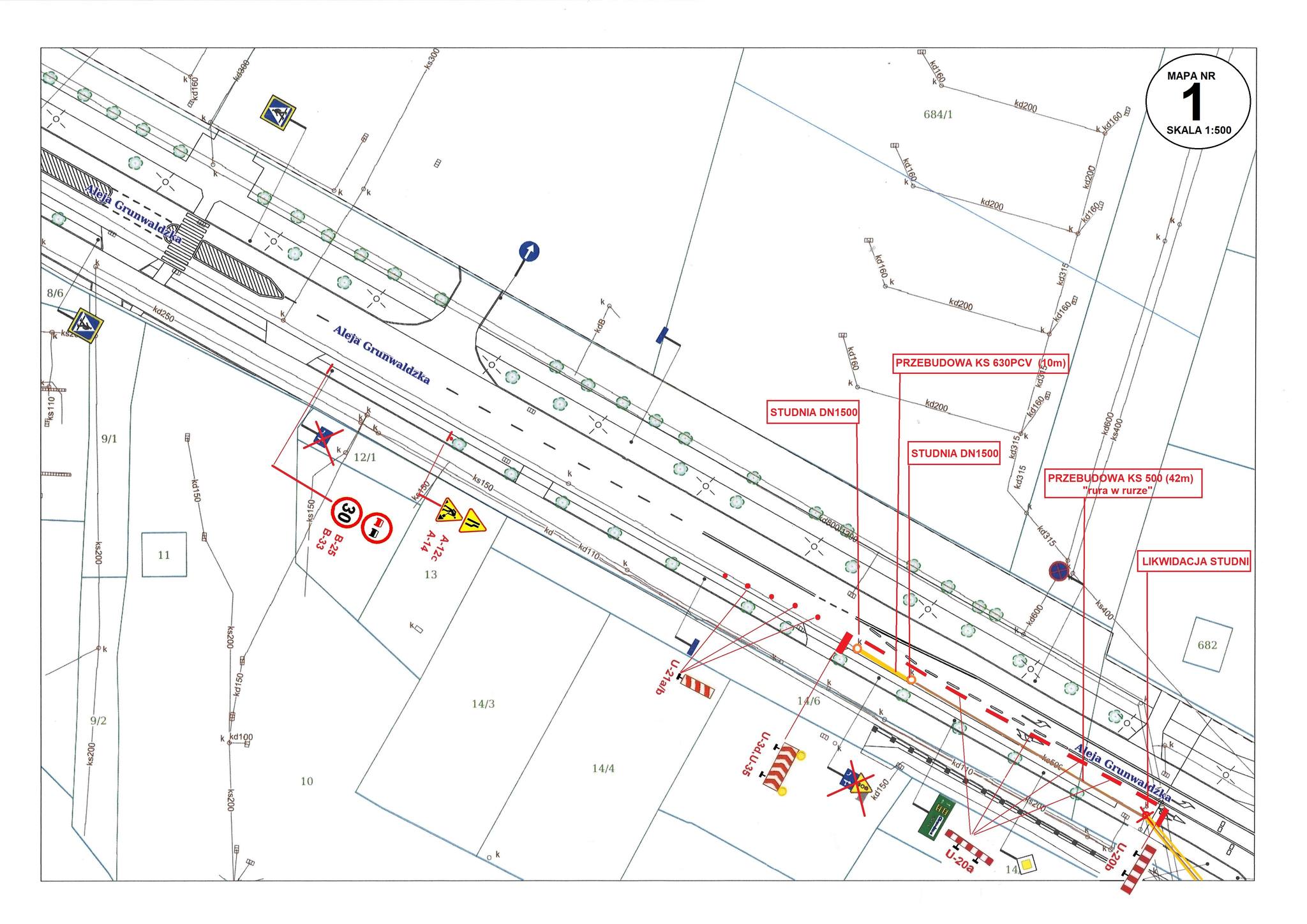
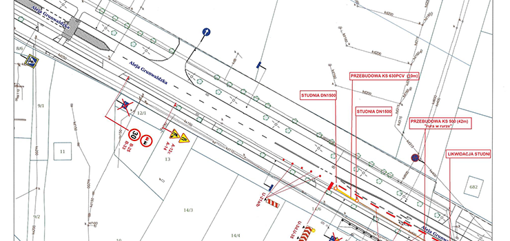
Informujemy, że w związku z awarią kanału tłocznego DN 400, od 2 marca godz. 9.00 do 5 marca godz. 17.00 prowadzone będą prace naprawcze.
W związku z powyższym wprowadzona zostanie zmiana organizacji ruchu na Al. Grunwaldzkiej zgodnie z zatwierdzonym projektem czasowej organizacji ruchu.
Przepraszamy za utrudnienia i prosimy o zachowanie szczególnej ostrożności w rejonie prowadzonych prac.
Elbląskie Przedsiębiorstwo Wodociągów i Kanalizacji











Co to za grafika? Może by ktoś łaskawie zrobił grafikę dla ludzi, a nie kopiuj - wklej dla specjalistów.